Преусмеравање саобраћаја од раскрнице Велебит-Ором до „Кермеци ћошка”
15.05.2015.
Служба за инспекцијско-надзорне послове при Општинској управи Кањижа обавештава грађане да се одобрава kомпанији „Војпут“ промена режима саобраћаја на територији општине Кањижа – преусмеравање саобраћаја на...
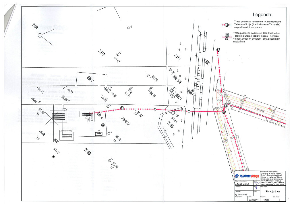
Јавнa презентацијa урбанистичког пројекта
14.05.2015.
У складу са чланом 63. Закона о планирању и изградњи („Сл. Гласник РС“ бр. 72/2009, 81/2009 – исправка, 64/2010 – одлука УС, 24/2011, 121/2012, 42/2013 -...
Одлучивање о потреби израде студија о процени утицаја на животну средину
08.05.2015.
Служба за инспекцијско-надзорне послове Општинске управе Кањижа обавештава заинтересоване органе, организације и јавност да:
Генеза Д.О.О. из Кањиже, ул. Вука Караџића бб. поднело је Захтев...
Програм рада службе за инспекцијско-надзорне послове за месец мај
08.05.2015.
Cлужбa за инспекцијско-надзорне послове обавештава грађане општине да ће у току маја 2015 године наставити са акцијом контроле јавних површина по следећем распореду:
08. маја...
Јавна презентација урбанистичког пројекта
30.04.2015.
У складу са чланом 63. Закона о планирању и изградњи („Сл. Гласник РС“ бр. 72/2009, 81/2009 – исправка, 64/2010 – одлука УС, 24/2011, 121/2012, 42/2013 -...
Јавнa презентацијa урбанистичког пројекта
23.04.2015.
У складу са чланом 63. Закона о планирању и изградњи („Сл. Гласник РС“ бр. 72/2009, 81/2009 – исправка, 64/2010 – одлука УС, 24/2011, 121/2012, 42/2013 -...































